+62 851 00183429

掲載料無料!
人・物の交流が盛んになれば、経済活動がより活発になり、それに携わる人々の暮らしが、より豊かになるのではないでしょうか?
グズグダンワールドでは、目下、日本とインドネシアの人々との交流と物流の架け橋の一端を担えたらと考えております。
その一環としまして、ここでは、グズグダンワールド関係者から、売りたい物や買いたい物の情報交換の場として、この度新設いたしました。
バリに関するものなら何でも取り扱っていきたいと考えております。
また、ここに掲載しないお取引も、メールにて随時ご相談に応じております。
勿論、新規お客様からの情報提供や物品販売もお待ちしております。
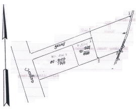
| 照 会 | LAND-PDS1 |
| 地 域 | Padang Sambian (Badung) パダンサンビアン(バドゥン県) |
| 面 積 | 2.25Are(225m²) |
| 価 格 | Rp1,500,000,000.- (日本円で約1,305万円※) ※¥1=Rp115で換算 |
デンパサール市街地から西、高級ホテルやヴィラが建ち並ぶクロボカン地区の手前に位置し、近辺は政府によって新たな道路が整備された新興住宅街の土地です。近隣がホテルやヴィラ建設が始まっており、これからも価格上昇が見込まれています。
| 照 会 | LAND-TGL1 |
| 地 域 | Desa Tegalinggah (Bueleng) テガリンガ村(ブレレン県) |
| 面 積 | 100Are(10,000m²) |
| 価 格 | Rp17,000,000/Are (日本円で1アール約14.8万円※) ※¥1=Rp115で換算 |
バリ島北部のリゾート地;ロビナ地区から山へ入った丘陵地です。この一帯はヴィラや外国人個人の別荘が点在する地区で、日本では丁子(ちょうじ)として知られる漢方薬に用いられるチュンケ (cengkeh)栽培や、美しい木目と強靭な耐久性の高級木材;チークの木「ジャティ(pohon Jati)」に適した土地となっております。この土地は道路から下る斜面地の為、住居として用いる場合は、整地が必要となります。
| 照 会 | LAND-TGL2 |
| 地 域 | Desa Tegalinggah (Bueleng) テガリンガ村(ブレレン県) |
| 面 積 | 71Are(7100m²) |
| 価 格 | Rp40,000,000/Are (日本円で1アール約34.8万円※) ※¥1=Rp115で換算 |
バリ島北部のリゾート地;ロビナ地区から山へ入った丘陵地です。この一帯はヴィラや外国人個人の別荘が点在する地区で、日本では丁子(ちょうじ)として知られる漢方薬に用いられるチュンケ (cengkeh)栽培や、美しい木目と強靭な耐久性の高級木材;チークの木「ジャティ(pohon Jati)」に適した土地となっております。この土地の上層部が2015年から政府による宅地開発を始めた為、周辺の価格が高騰している地域です。この価格は、政府が買い上げたものと同一価格です。道路に面した部分から段々に整地されており、宅地としても直ぐに利用できます。持ち主がジャティを販売目的で2011年に植えており、これも譲渡可能です。
| 照 会 | LEASE-KMN1 |
| 地 域 | Desa Kemenuh (Gianyar) クムヌー村(ギャニャール県) |
| 詳 細 | 1階建て、寝室2、リビング、離れに湯シャワー&洋式トイレ、庭 |
| 価 格 | Rp. 36,000,000.- /年 (日本円で約31.3万円/年※) ※¥1=Rp115で換算 電気代別途 |
| 備 考 | ※家具なし(キングサイズのマットレスを無償レンタル可) ※キッチン無し(1年分を全額前払いにて設置工事をお約束) ※細路地の奥に位置する為、自動車の駐車スペースはありません。 |
ウブドの中心地から南東へバイクで15分の素朴な村;Kemenuhに位置している、バリ島の伝統的一般家屋です。
オーナーはバリ人(夫)と日本人(妻)ですが、現在日本で暮らしている為、この度賃貸に至りました。
敷地内の前部にオーナーの親戚が暮らしていますので、トラブルや面倒事が生じた場合でも、バックアップが可能です。また、この物件はグズグダンワールドからのバックアップも得ることができますので、問題が生じた場合や、様様なご依頼もその都度対処させていただきますので、ご安心してご利用いただける物件かと存じます。
グズグダンワールドのバリ島プロメンバーには、各職人も在籍しております。
・木彫り職人・石工職人・洋裁職人は、1品からオーダーメイドでお客様からのご注文をお待ちしております。
・ガムラン演奏者からは、演奏を学ぶことができます。
・その他、バリ舞踊やヨガ、ヒーリング、祈祷師、絵画は、各先生や各師匠をご紹介させていただきます。
事前にご要望をメールにてご相談の上、その移動手段と致しまして、弊社のチャーターカープランをご利用くださいませ。
芸術を学ぶためにバリ島に長期滞在をご希望される方もビザの手続きや現地スポンサーの御相談にも応じております。
| こちらから→ |
|---|
Jalan Melayang, Banjar Melayang, Desa Pejeng Kaja, Bali 80552, Indonesia
TEL.+62 851 00183429
info@guzugudan.com
→オフィス案内